今回のコラムは、犬の”皮膚がん”としてのメラノーマ(悪性黒色腫)のお話です。
———————————————-
はじめに。。。
悪性黒色腫(メラノーマ、malignant melanoma)はヒトでの苛烈な悪性腫瘍としてのイメージから、急性白血病と並びドラマ的な題材とされることの多い代表的腫瘍であり、誰しも一度は小説やメディアなどでその名前を聞いたことがあるのではないかと思います。
この腫瘍はヒトだけではなくもちろん犬にも存在します。悪性腫瘍としてのポテンシャルから診断上やはり常に悪性腫瘍の扱いを受けますが、そのパターンはヒトのものとはやや様相が異なります。
人間のメラノーマにおいては、突然できた、もしくは大きくなってきた黒子(ホクロ)というものが悪性黒色腫を連想させますが、犬でも人と同様に皮膚、爪周囲、眼、口腔内(口の中)と発生する場所は多岐にわたり、いろいろなタイプの腫瘤を形成します。ただし、犬ではその悪性度は発生部位により大きく変化します。
犬では一般的に「口腔内メラノーマは悪性」とか「皮膚メラノーマは悪性の可能性はむしろ低い」というパターン認識が獣医師の間では比較的共有されています。実際にワンちゃんの皮膚メラノーマは常に悪性ではなく、良性のことが多いということに驚かれる方も多いのではないでしょうか。
犬において悪性度の高いメラノーマというとまず頭に浮かぶのは口腔内(口の中から喉)に発生するタイプのものです。極めて悪性の挙動を取り、リンパ節や肺へ高い頻度で転移を起こします。治療が難しいという巷の情報のほとんどは、この口腔内メラノーマに関するものではないかと思われますが、この話題はまた別の機会に触れたいと思います。
犬の皮膚に発生するメラノーマは皮膚腫瘍のうちの6%前後を占めるとされており、体表面のあらゆる部位に発生します。目立たない「黒い斑点」から急速に成長する大きな腫瘤まで様々で、その色は「ホクロ」を連想させる黒色調のことが多いものの、必ずしもそうでないこともしばしばです。
意外なことに犬では毛の生えている皮膚(ただし、爪付近はほぼ悪性)に発生するメラノーマの85%は良性の挙動を取るとされています。
———————————————-
ヒトのように悪性の挙動を示すようなものは急速に大きくなったり、腫瘤の表面が自壊して潰瘍となることも多く、大きさが直径2cmを超えることもあります。
下の3枚の写真はいずれも「皮膚がん」としての悪性メラノーマの3例の写真です。「黒い腫瘤」という共通点はあるものの、各々全く異なる形態をしています。
1例目はやや分かりにくいですが、腫瘍というよりむしろ平坦で、周囲の皮膚とは不連続につながっています。直径は約1.5cmで扁平なカサブタ状の腫瘤です。
2例目は皮下から大きく隆起して大豆程度の腫瘤が5-6個くっついたようなカタマリを形成しています。長い方の直径は約4cmにもなったメラノーマです。
3例目は2cm程度の大きな黒子(ホクロ)を連想させるようなメラノーマです。
——————————————-
「胸のあたりに小さいシコリがあります。。。つい最近、気づきましたがなんでしょうか?。」という初老のわんちゃんを連れた飼い主さんが来院されました。
それは一見したところよく見られる皮膚の腫瘤でしたが、各々の腫瘤が1センチ以下と小さいものの、同じようなカタマリが隣接していること、片方の腫瘤の色調が黒っぽいことが気になります。しかしながら、可動性もあり、見たところそれ以上の違和感はありません。
完全に毛におおわれていましたので、よく注意していなければ飼い主さんも気付くのが難しいかもしれません。
こういう場合にはまず、細胞診(注射針などで組織を吸引して顕微鏡で細胞の検査を行うこと)を行うのですが、この細胞診で異常が見つかりました。顕微鏡の画面ではそこにあってはならない、メラニン顆粒を細胞内に持つ特徴的な腫瘍細胞の集まりが見られました。
前述のように皮膚メラノーマは良性のことも多いのですが、病理医から返って来た生検の結果は残念ながら悪性でしたので拡大切除(周囲組織を腫瘤の大きさに比して大きく切除する手術)を計画いたしました。
下の写真は皮膚メラノーマの摘出手術前のものです。(すでに被毛が広範囲に除去されています。)
上の3例の写真でご紹介したものと異なり、メラノーマという名前から連想されるような黒い腫瘤ではなく、下の写真の左側の腫瘤がよく目を凝らしてみるとわずかに黒い色調を帯びている程度でしかありません。
写真は載せておりませんが、矢印で挟まれたこの腫瘤(1cm以下の2か所)の摘出術は広範な皮膚の切除と腫瘤の底面の筋肉を含む皮下組織の除去を伴い、小さいワンちゃんにとってはかなり大がかりなものでした。
心配された病理検査の結果は完全な切除の状態でしたが、やはり悪性度の高い皮膚メラノーマであって、手術後の再発や遠隔転移に要注意であるという診断が出ました。
———————————————-
ところで、冒頭で述べたメラノーマの特徴って「黒い腫瘤」とか「ホクロ」のようなものなのでは?という疑問をお持ちの方がいらっしゃるのではないでしょうか。実はこういった「黒くないメラノーマ」も存在いたします。
乏色素性メラノーマ、無色素性メラノーマとも呼ばれ、メラノーマの特徴である黒色のもととなるメラニン顆粒が少なく、メラノーマとしての見た目の特徴を持たないという厄介なものです。つまり、皮膚にこのようなメラノーマが発生した場合には自宅での発見が遅れるばかりか、さらに腫瘍としての悪性度はより注意を要するということになります。
———————————————-
術後の経過は順調で2週間程度で患者さんは無事に抜糸を終え、その後は大きかった傷も再び毛に覆われて患者さんは再び元通りの生活に戻ることができました。
悪性メラノーマに限らず、こういった悪性腫瘍の場合には再発や周囲のリンパ節や肺などの他臓器への転移をチェックするため、定期的な身体検査や胸部レントゲン検査を実施いたします。
このワンちゃんも特に健康状態を害することなく一か月に一回の定期検診を続けてくれておりました。このまま何もなければいいですね、という会話があいさつ代わりになって久しく、いつの間にか半年が過ぎてゆきました。
しかし、残念ながら、手術から7か月過ぎ、「ちょっと呼吸が荒いような気がする。」という訴えでご来院いただいた時点で胸部レントゲン検査によって肺転移が確認されてしまいした。その後、3週間程度で、闘病する時間もほとんどないままメラノーマの肺転移による呼吸不全と衰弱によりお亡くなりになるという悲しい結末を迎えました。
手術後の経過は良好でそこには元通りの日常生活があり、飼い主さんの心配も薄れかけてきた時期での急逝でしたので飼い主様は言うに及ばず、治療した当事者として非常に無念なできごとでした。最後に飼い主さんのおっしゃった、わずかでも良好な生活を得られたことは不幸中の幸いだったという言葉が今でも記憶によみがえってまいります。
———————————————-
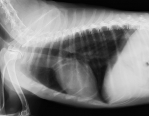
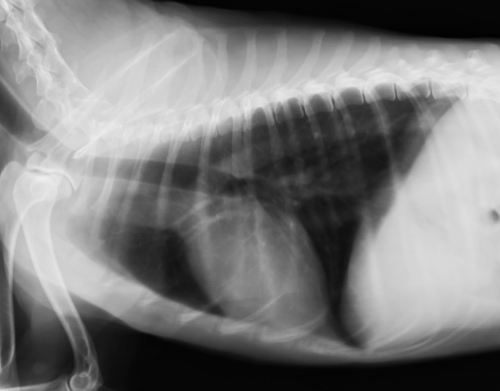
下の写真は悪性皮膚メラノーマの肺転移のレントゲン写真です。(今回のトピックとは違うワンちゃんのものです。)上が肺転移以前の正常なレントゲン画像、下がメラノーマによる転移性肺がんの写真です。本来黒く抜けて見える肺に砲弾状に白く見える転移病巣が多数みられています。
悪性メラノーマの肺転移による主な症状は呼吸不全です。進行は早く、呼吸器症状の発生から数週間以内に転移病巣による肺への直接の障害やそれに伴う肺炎、胸膜炎、胸水などにより重篤な状態に至ってしまいます。
———————————————-
以上、まとめます。。。
皮膚に発生する腫瘍はメラノーマに限らず、比較的飼い主さんにも目につきやすいものですが、そこに発生したものが本当に腫瘍なのかどうか、さらに外見からその腫瘍の悪性度の判断はできません。
体の表面に何らかの腫瘤を持つ老齢のワンちゃんには非常に多く遭遇します。良性のものから悪性のものまで、そのかたちやパターンは様々ですが、いわゆる良性のデキモノは割合として高いものです。
こういったものを多くみていると獣医でさえも、誰もが日常の診療現場で、”まあ、お歳ですからそのまま様子を見ましょう。”、ということをしばしば言いたくなる衝動にかられるのは想像に難くありません。
しかしながら、たとえ9割以上良性であろうという予想であっても、その中には注意を要する腫瘤が少数ながら必ず存在します。このため、やはりどのようなデキモノやカタマリに対しても獣医は常に注意を払わなければならないのは言うまでもありません。診察で一見して、”大丈夫でしょう”、となかなか言えないのはそういった理由によります。
余談ですが、しばしば、「獣医さんなら、人と違って悪性か良性かどうか見ればすぐに分かるんでしょう?」という無理難題をおっしゃる方がいらっしゃいますが、動物だからという理由で、ものごとが単純になるものではありません。基本はヒトの医療の進め方と全く一緒なのです。
体表面の疣(イボ)やポリープなどの新生物の発生は老齢期にはごくごくありふれている現象ではありますが、少ないながらもその一つ一つが命を左右する可能性があるということは忘れてはならない事実です。
今回のコラムでは、豆粒ほどの腫瘍によりワンちゃんの命が奪われてしまったというやや極端な事例をご紹介いたしました。このような病気に巡り合うことは普通の飼い主さんとしてはまずないであろうとは思いますが、ワンちゃんを飼う上で、こういった可能性ももあるという例として紹介させていただきました。
小さなしこりを見つけたらどうするか?
老齢期では心配すればきりがないように見える問題ですが、たかがイボと侮らずにくれぐれも注意をして観察してあげてください。。。
———————————————-
今回のテーマ、「皮膚がんとしてのメラノーマ」の続編をつくりました。皮膚メラノーマは指先の爪下に発生するものは注意すべき悪性腫瘍として知られています。
続編はその、「爪下の悪性メラノーマ」に関してのものです。
よろしければ下記をクリックしてご参照ください。なお冒頭の文章は本テーマと一部重複するところがあります。
———————————————
文責:あいむ動物病院西船橋 病院長 井田 龍









