>>>ウサギの尿路結石症とは?
ウサギの食べ物に含まれるカルシウムは腸から吸収され、体で利用された後は腎臓からシュウ酸カルシウムや炭酸カルシウムとして尿中に捨てられていきます。これらのカルシウムの排泄量が少量であれば問題はないのですが、何らかの原因によって過剰になった場合には高カルシウム尿症(下記リンク参照)となり、ウサギに特有な尿と混ざった白色調の「濃厚な砂粒状~泥状の沈殿物」を生じます。
さらに尿のpH値(酸・アルカリ度)などのさまざまな条件が組み合わさってカルシウム結石が形成されます。尿中に溶け込んだカルシウムをはじめとする様々な物質がなんらかの理由で、水に溶けない状態になって「尿路に溜まった石のようなもの」が尿路結石の正体です。
ウサギの尿路結石の多くばカルシウム結石ですが、少ないながら犬猫などでは有名なリン酸アンモニウムマグネシウム結石(ストルバイト結石)の場合もあります。
尿路結石や高カルシウム尿症の発生する詳しい原因はよく分かっておりませんが、食事に含まれるカルシウム、マグネシウムなどの塩類が多すぎたり、水分不足による濃縮尿(濃い)、排尿の問題により尿が完全に排泄されず膀胱内に残るなど、いくつかの要因が組み合わさって生じている可能性があります。
こういった要因には高カルシウムの食事、飲水量の不足、肥満、運動不足、不衛生などの生活環境の問題や膀胱炎、膀胱麻痺、筋骨格系を含む痛みを生じたり、歩行に影響を与える異常や病気などが含まれます。
尿路結石はその問題を起こす部位に応じて、腎結石、尿管結石、膀胱結石、尿道結石と呼び方が変化します。尿路結石が引き起こす最大の問題は尿路閉塞です。これは上流でつくられた結石が下流の狭くなった尿路に閉塞を生じるもので、腎結石は尿管結石となり尿管閉塞を生じます。また、膀胱結石は尿道結石となり尿道閉塞を生じるといった具合です。
>>>ウサギの尿路結石症の症状とは?
膀胱や尿道などに尿路結石が形成されるとその大きさや形状により周囲の尿路への影響を及ぼして「排尿時のしぶり」や頻尿に始まり排尿困難に至るまでのさまざまなレベルの排尿障害を引き起こします。また、結石が粘膜を刺激して膀胱炎や尿道炎などの炎症を引き起こし、血尿などがみられます。
尿路結石症の最も重大な症状は様々な時間経過で生じる尿路閉塞です。
腎結石が尿管で尿管閉塞を生じた場合には腹部の痛みと片側の腎不全を引き起こします。閉塞していない側の腎臓が健康であれば腎機能の予備力により腎不全による症状がみられないこともありますが、もともと腎不全であったリ、両側の閉塞が短い時間間隔で同時に起きた場合には乏尿や無尿を起こして緊急化します。
膀胱結石が尿道結石となり、尿路の出口を塞いでしまったような場合には尿が出なくなって、急性腎不全を生じて緊急化します。このように尿道結石を含む尿路閉塞は放置すると急性腎不全を生じて数日以内に生命の危機に至るレベルの緊急事態を引き起こす可能性があります。
>>>ウサギの尿路結石症の診断は?
膀胱結石では結石のサイズが大きかったり、多数存在する場合には下腹部の触診によって膀胱結石を予想できる場合もあります。しかしながら、ほとんどの膀胱結石をはじめ腎結石、尿管結石、尿道結石は体の外からその存在を確認することはできません。
尿路結石の可能性がある場合、レントゲン検査によって尿路結石の診断だけではなく、その大きさや位置、その形状や数を確認することができます。さらに尿路の超音波検査によって結石の正確な位置や周囲の尿路の拡張や閉塞の有無などの状態を確認することができます。
なんらかの排尿障害や持続的な血尿がみられたり、腹部の痛みが予想されるような場合には尿路結石症を疑い、尿検査と合わせて腹部レントゲン検査や超音波検査を実施いたします。血液検査で腎臓の問題が指摘された場合も同様に潜在する尿路閉塞の可能性を考えなければなりません。
尿路結石が見つかっている場合にも、特に高齢ウサギでは腎機能に問題を起こしているケースが多く、尿検査や血液検査による全身的な積極的な評価を受けるべきでしょう。また、慢性腎臓病と腎結石から生じる尿管結石の関係性は深く、ウサギではその存在は特に見逃されやすいため注意が必要です。
———————————————-
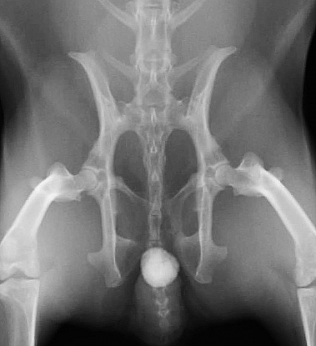
下の写真は膀胱結石が尿道結石となり尿路閉塞を生じた一連の変化をレントゲンで撮影したものです。数週間にわたる血尿と「排尿時のしぶり」と頻回尿を症状とする排尿障害を起こしていたウサギのものです。レントゲン検査では1cm程の膀胱結石が確認されました。
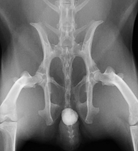
膀胱炎にやそれに伴う頻尿などの諸症状に対する対症療法を行ってもあまり症状の改善がみられないため、手術を計画しましたが、その前に排尿困難に陥って緊急で来院した際のレントゲン写真が下の二枚です。膀胱内にあった結石が尿道結石となり急性の尿路閉塞を生じています。
このように上流でつくられた結石が下流へ流れ、そこで急性の尿路閉塞を生じるということが、尿路結石症の最も激しい症状を引き起こします。尿路閉塞に対しては結石の閉塞状態をはじめ、腎機能の評価をはじめとする全身の評価と緊急手術を含めた閉塞解除に関わる治療を並行して迅速に行わなければなりません。
上写真のウサギは緊急の尿道切開術によって尿道結石の摘出を実施いたしました。
>>>尿路結石症の治療は?
尿路結石の位置やその大きさ、尿路閉塞を起こしている場合はその場所、排尿障害の程度や緊急度により、適切な治療を選んで行う必要があります。
通常、尿路結石は粘膜への持続的な刺激を生じるため、膀胱炎などの炎症を伴っています。結石がみられるだけで問題を起こしていない場合には膀胱炎に伴う血尿や排尿時にみられる不快感や痛みなどの諸症状などに対しては抗生物質や消炎剤などによる対症療法がなされます。
結石の表面には細菌が繁殖してバイオフィルムのような細菌繁殖の「巣窟」となる場所が形成されやすいため、細菌の侵入を受けやすい下部尿路の結石に伴う膀胱炎にはその多くに細菌感染を伴いっています。こういった感染結石がある場合には治療を行っても感染そのものは持続しますので、抗生物質や消炎剤による治療により完治せずに慢性再発性の経過をとることがほとんどです。
尿道結石の場合にはまず、必要に応じて鎮静をかけて苦痛を緩和した上で尿道カテーテルを挿入して生理食塩液で尿道から膀胱に速やかに押し戻します。この処置は根本的な解決にはなりませんが、結石をいったん膀胱に戻すことによって排尿を再開させて腎機能の維持や悪化を防ぎ、緊急度を下げるために行います。
尿道結石は尿路閉塞を起こして緊急化する可能性があるため、そのような可能性がある膀胱結石は突発的なリスクを減らすために膀胱内での外科的な摘出を行った方がよいでしょう。また、同様に慢性的に生じる尿路感染や排尿の問題を改善するという「生活の質」の面からも考慮すべきです。
———————————————-
文責:あいむ動物病院西船橋 病院長 井田 龍




