>>>犬の皮膚メラノーマとは?
犬の皮膚に発生するメラノーマはすべての皮膚腫瘍のうちの6%前後を占めるとされており、体表面のあらゆる部位に発生します。目立たない黒い斑点から急速に成長する大きな腫瘤まで、おおよそ0.5~2cmと様々です。
メラノーマを象徴するホクロを連想させる黒色調であることが多いものの、黒い色素沈着の原因となるメラニン色素の量によって茶色や淡い灰色であったり「黒くない」こともしばしばです。
下の写真は各々1cm弱の皮膚メラノーマですが色素が薄いため、見た目では飼い主さんにはメラノーマが想像できないのではないかと思います。このメラノーマは悪性で肺転移を起こしました。
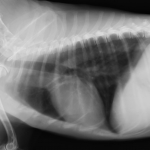
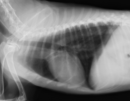
悪性の挙動をしめす皮膚がんとしての悪性メラノーマは急速に隆起して大きくなったり、腫瘤の表面が自壊して潰瘍となることも多く、大きさが直径2cmを超えることもあります。悪性メラノーマはリンパ管や血管を介して全身に転移を起こします。このため来院時に既に肺転移がみられていることも少なくありません。
下の写真が肺転移の一例です。(右写真が正常です。)
>>>皮膚メラノーマの特徴は?
意外に思われるかもしれませんが、犬では毛の生えている皮膚に発生するメラノーマの85%は高分化型で良性とされていますので、悪性の挙動をとる皮膚メラノーマはむしろ少数です。
下の2枚の写真が皮膚の良性メラノーマの典型的な形状を示すものです。
ただし、皮膚メラノーマでも例外的に爪下(爪床)周囲や、皮膚粘膜移行部(皮膚と粘膜の境目)から発生するものは高悪性度である可能性が高いため注意が必要です。下の写真で注意を要する、いくつかの「皮膚がん」としての悪性メラノーマの例を示しますのでご覧になってみてください。
下の2枚の写真は背中や腹部の皮膚から発生した悪性メラノーマです。通常の皮膚にできるメラノーマは良性であることが多いものですが、そういった典型的な皮膚メラノーマとはその大きさや外見などの特徴も随分と異なっています。
左下写真の悪性メラノーマは腫瘍というよりむしろ平坦で、周囲の皮膚とは不連続につながっており、直径は約1.5cmで扁平なカサブタ状をしています。右下は皮下から大きく隆起して大豆程度の腫瘤が5-6個くっついたような腫瘤を形成して、長い方の直径は約4cmにもなった悪性メラノーマです。
左写真は爪下(爪床、爪の根元が付着している部分)から発生した1cm弱の悪性メラノーマで爪の構造をすでにほぼ腫瘍に置き換えてしまっており、正常な皮膚と腫瘍の境界ははっきりしません。
右下は肛門の皮膚と直腸の粘膜移行部に発生した2cm程度の大きな黒子(ホクロ)を連想させるような悪性メラノーマです。爪下(爪床)の皮膚、皮膚粘膜移行部はどちらも皮膚に生じるメラノーマとしては例外的にその悪性度と悪性の可能性の高い発生部位です。
>>>皮膚メラノーマの診断は?
一般的な皮膚メラノーマは細胞診で診断ができます。細胞診とは、針で腫瘤を刺して細胞成分を吸い取り、取れた細胞を染色して顕微鏡で診断する方法です。簡便な方法ですので動物病院内で実施可能です。
しかし、採取されてきた細胞の数が少なかったり、採取された細胞のメラニン色素が極端に少なく、メラノーマであるという細胞診での診断が難しい場合や、その悪性度の評価が難しい場合などには必ず病理検査を行わなければなりません。外科手術など治療を行う上で皮膚メラノーマはその悪性度の評価を事前にしっかり行うことが重要です。
>>>皮膚メラノーマの治療は?
いずれのメラノーマに対しても外科的摘出が第一選択であって、メラノーマを含むできるだけ広い領域ごと摘出する必要があります。悪性メラノーマでの不完全な切除であった場合はもちろん、爪下(爪床)に発生したものや、皮膚粘膜移行部に発生したメラノーマは例外的に悪性度が高く予後があまりよくないため、抗がん剤による補助的化学療法が必要になります。
補助的化学療法にはカルボプラチンやシスプラチン等のプラチナ製剤の抗がん剤が使用されます。手術後の補助手的化学療法は転移性病変や取りきれなかったメラノーマに対して一定の寛解(かんかい、腫瘍が消えたり縮小したりすること)がみられることがあり、メラノーマの局所治療の一環として補助的に働くことが期待できます。
放射線療法は実施可能な施設が限られますが、切除不能もしくは取りきれず残存した皮膚メラノーマに対して長期の局所のコントロールが可能かもしれません。
———————————————-
文責:あいむ動物病院西船橋 病院長 井田 龍







